
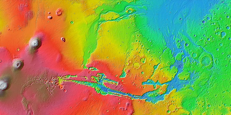
An Italian astronomer in the 19th century first described them as ‘canali’ – on Mars’ equatorial region, a conspicuous net-like system of deep gorges known as the Noctis Labyrinthus is clearly visible. The gorge system, in turn, leads into another massive canyon, the Valles Marineris, which is 4,000 km long, 200 km wide and 7 km deep. Both of these together would span the US completely from east to west.
As these gorges, when observed from orbit, resemble terrestrial canyons formed by water, most researchers assumed that immense flows of water must have carved the Noctis Labyrinthus and the Valles Marineris into the surface of Mars. Another possibility was that tectonic activity had created the largest rift valley on a planet in our solar system.
Lava flows caused the gorges
These assumptions were far from the mark, says Giovanni Leone, a specialist in planetary volcanism in the research group of ETH professor Paul Tackley. Only lava flows would have had the force and mass required to carve these gigantic gorges into the surface of Mars. The study was recently published in the Journal of Volcanology and Geothermal Research.
In recent years, Leone has examined intensively the structure of these canyons and their outlets into the Ares Vallis and the Chryse Planitia, a massive plain on Mars’ low northern latitude. He examined thousands of high-resolution surface images taken by numerous Mars probes, including the latest from the Mars Reconnaissance Orbiter, and which are available on the image databases of the US Geological Survey.
No discernible evidence of erosion by water
His conclusion is unequivocal: “Everything that I observed on those images were structures of lava flows as we know them on Earth,” he emphasises. “The typical indicators of erosion by water were not visible on any of them.” Leone therefore does not completely rules out water as final formative force. Evidence of water, such as salt deposits in locations where water evaporated from the ground or signs of erosion on the alluvial fans of the landslides, are scarce but still existing. “One must therefore ask oneself seriously how Valles Marineris could have been created by water if one can not find any massive and widespread evidence of it.” The Italian volcanologist similarly could find no explanation as to where the massive amounts of water that would be required to form such canyons might have originated.
Source region of lava flows identified
The explanatory model presented by Leone in his study illustrates the formation history from the source to the outlet of the gorge system. He identifies the volcanic region of Tharsis as the source region of the lava flows and from there initial lava tubes stretched to the edge of the Noctis Labyrinthus. When the pressure from an eruption subsided, some of the tube ceilings collapsed, leading to the formation of a chain of almost circular holes, the ‘pit chains’.
When lava flowed again through the tubes, the ceilings collapsed entirely, forming deep V-shaped troughs. Due to the melting of ground and rim material, and through mechanical erosion, the mass of lava carved an ever-deeper and broader bed to form canyons. The destabilised rims then slipped and subsequent lava flows carried away the debris from the landslides or covered it. “The more lava that flowed, the wider the canyon became,” says Leone.
Leone supported his explanatory model with height measurements from various Mars probes. The valleys of the Noctis Labyrinthus manifest the typical V-shape of ‘young’ lava valleys where the tube ceilings have completely collapsed. The upper rims of these valleys, however, have the same height. If tectonic forces had been at work, they would not be on the same level, he says. The notion of water as the formative force, in turn, is undermined by the fact that it would have taken tens of millions of cubic kilometres of water to carve such deep gorges and canyons. Practically all the atmospheric water of all the ages of Mars should have been concentrated only on Labyrinthus Noctis. Moreover, the atmosphere on Mars is too thin and the temperatures too cold. Water that came to the surface wouldn’t stay liquid, he notes: “How could a river of sufficient force and size even form?”
Life less likely
Leone’s study could have far-reaching consequences. “If we suppose that lava formed the Noctis Labyrinthus and the Valles Marineris, then there has always been much less water on Mars than the research community has believed to date,” he says. Mars received very little rain in the past and it would not have been sufficient to erode such deep and large gorges. He adds that the shallow ocean north of the equator was probably much smaller than imagined – or hoped for; it would have existed only around the North Pole. The likelihood that life existed, or indeed still exists, on Mars is accordingly much lower.
Leone can imagine that the lava tubes still in existence are possible habitats for living organisms, as they would offer protection from the powerful UV rays that pummel the Martian surface. He therefore proposes a Mars mission to explore the lava tubes. He considers it feasible to send a rover through a hole in the ceiling of a tube and search for evidence of life. “Suitable locations could be determined using my data,” he says.
Swimming against the current
With his study, the Italian is swimming against the current and perhaps dismantling a dogma in the process. Most studies of the past 20 years have been concerned with the question of water on Mars and how it could have formed the canyons. Back in 1977, a researcher first posited the idea that the Valles Marineris may have been formed by lava, but the idea failed to gain traction. Leone says this was due to the tunnel vision that the red planet engenders and the prevailing mainstream research. The same story has been told for decades, with research targeted to that end, without achieving a breakthrough. Leone believes that in any case science would only benefit in considering other approaches. “I expect a spirited debate,” he says. “But my evidence is strong.”
Rrference:
Leone G. A network of lava tubes as the origin of Labyrinthus Noctis and Valles Marineris on Mars. Journal of Volcanology and Geothermal Research, 277 (2014), 1-8. Published online 1 Mai 2014. DOI: 10.1016/j.jvolgeores.2014.01.011
Note : The above story is based on materials provided by Eidgenössische Technische Hochschule Zürich










